Corp Sell-Off 2+ AC Corner Parcel Goochland, VA

Property Location MAP

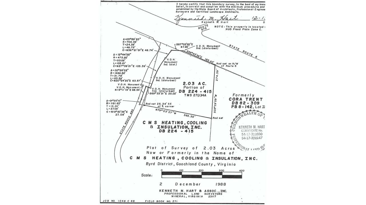
0 Youngstown Rd
(SE corner, Rt 6 & Rt 680)
Goochland, VA 23063

Property #: KEY5063

Contact Agent

Linda Terry, AARE, CAI, GRI, RSPS
Tranzon Key

(804) 837-1705 lterry@tranzon.com

2+ AC lot in quiet, green, growing Goochland County. Corner parcel with good road frontage. Residential use, or re-zone for light industrial, retail, gas/C Store. SOLD: $66,000

-

Have a Property To Sell? Request a FREE Property Consultation